x

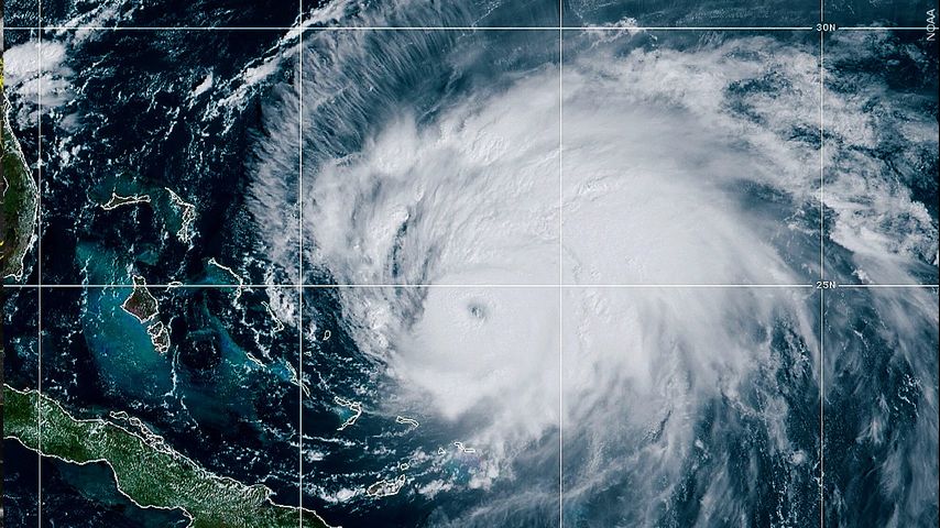
El huracán Orlene impacta cerca de Mazatlán, México

El huracán Orlene impacta cerca de Mazatlán, México
3 years 6 months 4 hours ago Monday, October 03 2022 Oct 3, 2022 October 03, 2022 5:59 PM October 03, 2022 in Noticias RGV - Azteca Valle
Source: Associated Press

MAZATLÁN, México (AP) — El huracán Orlene tocó tierra el lunes en la costa mexicana del Pacífico cerca del puerto turístico de Mazatlán, en el estado de Sinaloa, antes de debilitarse rápidamente en su avance por el occidente del país.

Los primeros impactos se sintieron en el municipio Escuinapa donde se reportaron fuertes precipitaciones y vientos que dejaron sin servicio eléctrico esa región.

Entre los poblados de Escuinapa que resultaron afectados estaba Isla del Bosque, por donde ingresó a tierra el huracán.

Mientras caminaba junto a sus hijos pequeños en medio de un pozo que se formó frente a su humilde vivienda, el agricultor Carlos Martínez, relató que desde la madrugada en Isla del Bosque comenzaron a registrarse fuertes ráfagas de viento que levantaron parte del techo de su casa. "Parece que nos iba a dejar sin nada", dijo Martínez.

El gobernador de Sinaloa, Rubén Rocha Moya, informó que la Comisión Federal de Electricidad y otros organismos estatales están trabajando en las poblaciones de Escuinapa para restablecer la electricidad.

El huracán también se sintió en el municipio El Rosario donde se registraron caídas de postes de luz y ramas de árboles que obstaculizaron algunas vías.

El meteoro perdió fuerza después de pasar por las Islas Marías, una antigua colonia penal que se está desarrollando como atracción turística. La isla tiene una escasa población de empleados del gobierno y sus edificios están hechos de ladrillo o concreto.

Los vientos de Orlene -que en su punto álgido el domingo llegaron a alcanzar 215 kilómetros por hora (130 millas por hora)- tocaron tierra el lunes temprano a 140 km/h (85 mph) a 75 kilómetros (45 millas) al sureste de Mazatlán, según el Centro Nacional de Huracanes de Estados Unidos.

Las autoridades no reportaron de inmediato ningún daño, pero a lo largo de la costa suspendieron las clases, cerraron los puertos y habilitaron refugios.

Para el mediodía Orlene se degradó a tormenta tropical con vientos máximos de 85 km/h (50 mph) y avanzaba hacia el norte-noreste a 17 km/h (50 mph). Su vórtice estaba a 95 km (60 millas) al este de Mazatlán.

Los efectos del huracán también se sintieron en el norte del estado de Nayarit, donde las fuertes lluvias ocasionaron la crecida de algunos ríos.

El secretario de Seguridad de Nayarit, Jorge Rodríguez, indicó que hasta el momento no se han reportado víctimas ni afectaciones de magnitud. El funcionario dijo a la televisora local Milenio que 589 personas fueron evacuadas de zonas de riesgo y algunas de ellas fueron trasladadas a albergues.

Había una alerta de tormenta tropical desde San Blas hasta Mazatlán, pero se prevé que el meteoro se disipe para el lunes en la noche o el martes.

El gobierno del estado de Jalisco, donde se encuentra Puerto Vallarta, suspendió las clases el lunes en las localidades costeras. La oficina de protección civil de ese estado publicó un video en que se ve fuerte oleaje impactando un muelle de Cabo Corrientes.

En Sinaloa, donde está Mazatlán, se instalaron algunos albergues de emergencia.

Los puertos de Manzanillo y Puerto Vallarta quedaron cerrados a los barcos de mayor eslora y la Armada de México anunció que los puertos de Mazatlán, San Blas y Nuevo Vallarta estaban cerrados a las pequeñas embarcaciones.

La Comisión Nacional del Agua indicó que Orlene podría causar deslaves e inundaciones en áreas bajas y elevar los niveles de ríos y arroyos.

El domingo Orlene alcanzó vientos de 215 km/h (130 mph) como un huracán de categoría 4.

More News

Radar
7 Days